ภาพพายุเฮอริเคน ลอรา รุนแรงระดับ 4 ขึ้นฝั่งถล่ม
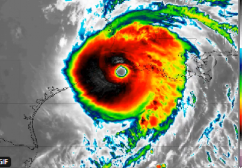
เมื่อ 27 ส.ค.63 สำนักข่าวบีบีซี รายงาน ศูนย์เฮอริเคนแห่งชาติสหรัฐฯออกคำเตือนอันตรายจากพายุเฮอริเคนสุดน่ากลัว ลอรา ที่ทวีกำลังขึ้นเป็นเฮอริเคนรุนแรงระดับ 4 ขณะมุ่งหน้าจ่อขึ้นฝั่งถล่มรัฐเทกซัสและลุยเซียนา ด้วยความเร็วลมใกล้ศูนย์กลางพายุสูงถึง 240 กิโลเมตรต่อชั่วโมงว่า อิทธิพลของพายุเฮอริเคน ลอรา คาดจะทำให้เกิดสตอร์มเซิร์จ หรือคลื่นสูงรุนแรง ซัดชายฝั่ง เพราะมีความเป็นไปได้ที่จะเกิดสตอร์มเซิร์จสูงกว่า 20 ฟุต หรือ 6 เมตร รวมทั้งการเกิดลมกระโชกรุนแรง และน้ำท่วมฉับพลัน

ศูนย์เฮอริเคนแห่งชาติสหรัฐฯ เตือนว่า หากพายุเฮอริเคนลอรายังคงสามารถรักษาความเร็วลมใกล้ศูนย์กลางพายุในระดับนี้ขณะขึ้นฝั่งแล้ว จะถือเป็นหนึ่งในเฮอริเคนรุนแรงที่สุดลูกหนึ่งที่ถล่มชายฝั่งทางภาคใต้ของสหรัฐอเมริกาเลยทีเดียว
ในขณะที่ประชาชนในพื้นที่เสี่ยงภัยนับ 500,000 คนในรัฐเทกซัสได้รับแจ้งเตือนให้อพยพไปอยู่ในที่ปลอดภัยแล้ว นอกจากนั้น ผู้ว่าการรัฐเทกซัส นายเกร็ก แอบบอต ยังขอร้องให้ผู้ที่อยู่ในเส้นทางที่พายุเฮอริเคนลอราจะเคลื่อนตัวผ่านมา โปรดใช้เวลาช่วงสุดท้ายที่มีค่าในอีกไม่กี่ชั่วโมงนี้ รีบอพยพออกจากบ้านเรือนโดยด่วน

ตามรายงานระบุว่า เมื่อเวลาประมาณ 23.00 น. ของวันที่ 26 ส.ค. ตามเวลาท้องถิ่น ศูนย์กลางของพายุเฮอริเคนลอรา ได้เคลื่อนตัวอยู่ห่างจากพอร์ต อาร์เธอร์ ในรัฐเทกซัส ไปทางตะวันออกเฉียงใต้ประมาณ 105 กม. และคาดว่าเฮอริเคนลอราจะเคลื่อนตัวขึ้นฝั่งที่บริเวณใกล้เขตแดนระหว่างรัฐเทกซัสกับลุยเซียนา ในช่วงเวลาประมาณเที่ยงคืน-02.00 น. ของวันพฤหัสฯ ที่ 27 ส.ค.ตามเวลาท้องถิ่น
ก่อนต่อมา มีรายงานเฮอริเคนลอรา ได้ขึ้นฝั่งแล้วใกล้เมืองแคเมรอน รัฐลุยเซียนา ด้วยความรุนแรงระดับ 4 ความเร็วลมใกล้ศูนย์กลางพายุถึง 150 ไมล์ต่อชั่วโมง หรือ 241 กิโลเมตรต่อชั่วโมง
ขอบคุณที่มา สำนักข่าวบีบีซี


